조황관리HOME / 조황관리 / 상세정보

제목 : 레코드호1/18연화도좌사리도밤볼락만쿨만쿨반쿨빈쿨
등록일 : 2026-01-20
*** 통영 레코드호/ 열바다낚시 예약 안내 ***·
예약문의 : 010-2085-4756
오시는길 : 경남 통영시 산양읍 산양일주로 1566


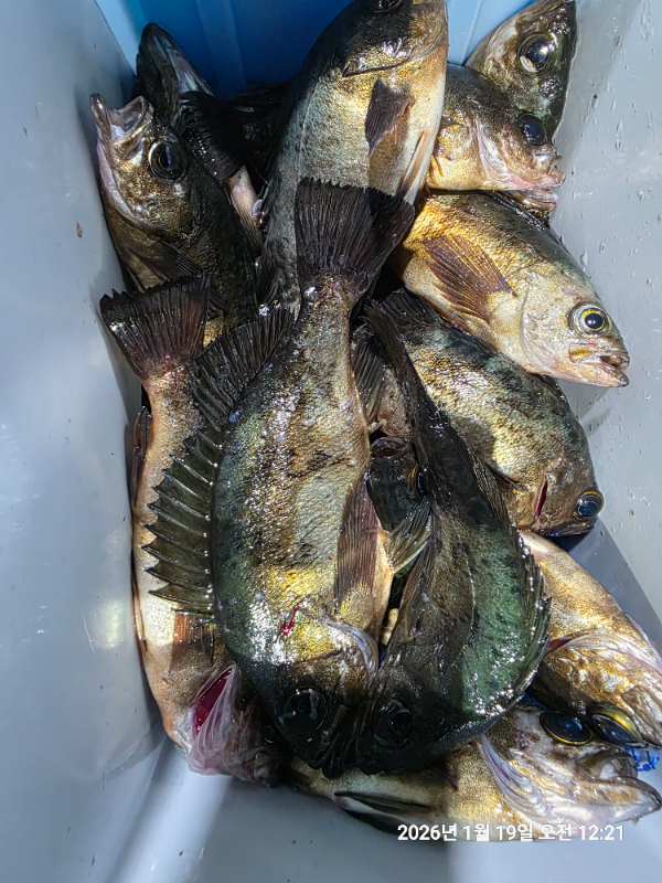
1/18일
레코드호 연화도 좌사리 밤볼락입니다.
만쿨반쿨빈쿨~

1000090648.jpg


1000090647.jpg


1000090646.jpg


1000090645.jpg


1000090644.jpg


1000090643.jpg


1000090642.jpg

 

레코드호 갯바위 밤볼락출항.,
16시출항 24시철수.

010 2085 4756

입금계좌
농협 전오진
010. 2085. 4756. 19

[예약안내]

- 예약은 선입금자 순으로 확정되며, 예약후
   입금 지연시 24:00 기준 자동취소 될수
   있습니다.
- 사무실 없으니 출항시간 15전까지 승선하시고
  승선명부 우선 작성해 주세요.(선박후미비치)
- 포인트 이동하고자하시는분은 
   8시까지 전화주세요
- 갯바위 선비는 욕지권 6만원, 좌사리도 6만5천원,국도 7만원.

주말출조시간은 변동될 수 있으니 필히 사전문의바랍니다.
주출조지는 좌사리,국도,갈도,욕지권입니다.
네비주소:통영시 산양읍 산양일주로 1566
@낚시생선 회, 손질은 삼덕항@
  떠드림 :  010 8414 6669
  회결사 :  010 2238 3448

통영레코드호/열바다낚시밴드
band.us/@hotfishing

#루어전용선 #루어 #팁런 #무늬오징어 #밤볼락 #선상낚시 #통영바다낚시 #통영낚시배 #한치 #레코드호 #열바다낚시 #바다낚시 #갯바위볼락 #오징어 #통영레코드호 #루어낚시 #삼덕항 #당포항 #좌사리도 #국도 #갈도 #욕지도  #세존도 #연화도 #쎄드라집어등


*** 통영 레코드호 열바다낚시 예약 안내 ***


예약문의 : 010-2085-4756

오시는길 : 경남 통영시 산양읍 산양일주로 1566
모바일.jpg 

Top