조황관리HOME / 조황관리 / 상세정보

제목 : 레코드호 2/23 연화도좌사리 밤볼락
등록일 : 2026-02-26
통영 레코드호 / 열바다낚시 예약안내
예약문의 :
010-2085-4756
오시는길 :
경남 통영시 산양읍 산양일주로 1566

2/23
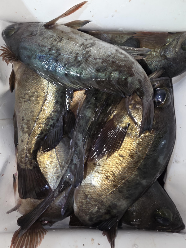
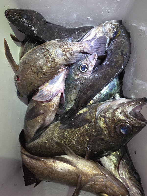
통영 레코드호 연화도  좌사리도 밤볼락입니다.
금욜 출항합니다

1000096349.jpg


1000096348.jpg


1000096347.jpg


1000096346.jpg


1000096345.jpg

 


레코드호 갯바위 밤볼락출항.,
16시출항 24시철수.

입금계좌
농협 전오진
010. 2085. 4756. 19

안내사항
사무실 없으니 출항시간 15전까지
승선하셔서 승선명부 우선 작성해주세요.(선박후미비치)
포인트 이동하실분은 8시전 전화주세요.
8시경 이동해 드려요.
전화없으면 고기 잘 무는걸로..
*핀스파이크단화 장화 착용금지*

 갯바위 선비는 
 욕지권 6만원
 좌사리도 6만5천원,
 국도 7만원.

네비주소
통영시 산양읍 산양일주로 1566
 
@낚시생선 회, 손질은 삼덕항@
  떠드림 :  010 8414 6669
  회결사 :  010 2238 3448
 
통영레코드호/열바다낚시밴드
band.us/@hotfishing
 
#루어전용선 #볼락루어 #팁런 #무늬오징어 #밤볼락 #선상낚시 #통영바다낚시 #통영낚시배 #한치 #레코드호 #열바다낚시 #바다낚시 #갯바위볼락 #오징어 #통영레코드호 #루어낚시 #삼덕항 #당포항 #좌사리도 #국도 #갈도 #욕지도  #세존도 #연화도 #쎄드라집어등


*** 통영 레코드호 열바다낚시 예약 안내 ***


예약문의 : 010-2085-4756

오시는길 : 경남 통영시 산양읍 산양일주로 1566
모바일.jpg 

Top